往年的夏季
時不時來幾場台風過境都是很平常的
相信沿海居民對此都已經見怪不怪
但是今年的超強台風“利奇馬”
來勢洶洶且破壞性極強
由它引起的災洪日前已聲勢迅猛地
淹了浙江省的一個市
截至8月11日6時30分
這場台風已經造成了
浙江省28人死亡20人失聯
而微博熱搜上的主要話題
也是圍繞著這場超強台風展開
#風王利奇馬或被除名#
破壞力最強的“利奇馬”
目前已經導致中國
417萬人受災
101萬人緊急轉移
超300趟列車停運
多地超300余萬用戶停電
而且據說“利奇馬”很有可能成爲
今年以來登陸中國的最強台風
爲了防止它與其它台風同名
“利奇馬”可能被除名
關于“除名”這還有個說法
按照國際慣例,台風名字會循環使用
然而當某次台風的破壞力特別強大時
就會把台風名字作爲這次台風的專用名詞
以後所有的台風都不再使用
也就是說,利奇馬很可能
會成爲這次台風的專用詞
#臨海全市被淹#
另外一個令人十分揪心的就是
目前受災最嚴重的情況
——臨海全市被淹
(來源:抖音)
從一大波視頻和照片可以看到
山洪猛如虎,一出滿城淹
(來源:早報)
浙江省永嘉縣岩坦鎮山早村
因特大暴雨發生山體滑坡,堵塞河流
山洪最高水位在10分鍾內漲到10米
村裏約120人被洪水圍困
(來源:抖音)
而後因溪水上漲太快
導致部分村民來不及撤離
堰塞湖突發決堤
遇難的22人都來自山早村
洪水造成了700多所房屋倒塌
農作物受災面積超過10萬公頃
(來源:早報)
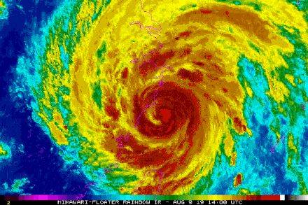
“利奇馬”登陸時
中心附近最大風力有16級,即每秒52米
大面積地強降雨席卷而來
可以看出城鎮街道積水之深
不得不借助橡皮艇進行援救
僅僅是目測積水約有一米半多深
如果是小孩子肯定沒法涉水行走
入目就是災洪遍野
在這種情況下施救也顯得十分困難
洪水湧入
從城鎮上空看城市內部無一幸免
到處都是渾濁的黃色泥水
整個街道只剩下施救的船只
到處都是渾濁的黃色泥水
整個街道只剩下施救的船只
在一片水澇裏
唯一最爲醒目的就是
中國消防員的橙色防護衣
他們用各種法子帶走災民
每個人都是搶救在最前線
在水中禹禹而行
最緊急的時刻趕在
最前面的也是消防員們
真正地不遺余力和時間賽跑
微博上成片成片的擴散、祈福字眼
可以說人不在一處,但是心在一處
非常時刻大家都只能祈願平安
不過有一點是十分一致的就是
相信救援人員們的行動
而面對這場災難
政府的應急措施
可以說也十分及時
中國國家防汛抗旱總指揮部
和應急管理部持續調度部署
“利奇馬”防範應對工作
中國財政部和應急管理部
也預撥浙江省3000萬元
(人民幣,588萬新元)
中央自然災害救災資金
用于搶險救災和救助受災民衆
#利奇馬移出浙江向
偏北方向移動#
在8月10日1時45分前後
第九號台風“利奇馬”正面登陸浙江
成爲第一個正面登陸浙江的台風
同時也是近70年來
登陸浙江第3強的台風
受災程度大家也是有目共睹
然而浙江並不是這場台風的終結站點
據中央氣象台
預計今天傍晚前後到夜間
將在山東日照到海陽一帶沿海再次登陸
(熱帶風暴級或強熱帶風暴級,
9-10級,23-28米/秒)
登陸後移速減慢
並將在渤海到山東半島北部一帶徘徊
強度逐漸減弱
而山東省海洋局啓動
海洋災害三級應急響應
山東省氣象局昨天發布今年首個台風黃色預警
同時做好緊急准備的也包括上海在內
爲迎戰台風,上海應急值守9萬人
而且已完成轉移撤離25.3萬人
*以上文中部分圖片來源于微博,見水印
而根據新加坡樟宜機場網站的信息
昨天(10日)原定從上海來新的11趟航班中
有八趟延誤或取消
至于從新加坡到上海的11趟航班
則有九趟延誤或取消
不過雖然災情猛于虎
但是相信人定勝天
救援工作可以更加順利展開!



























